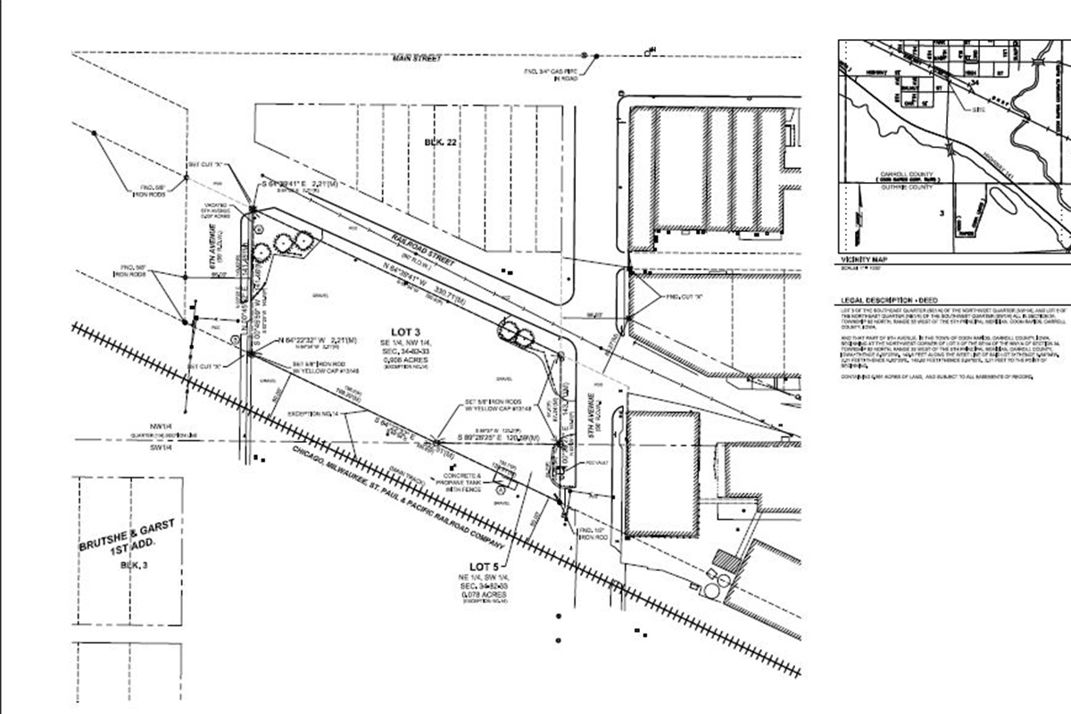
When ownership of a commercial property is transferred, the buyer and the lending institution typically want to obtain title insurance to protect their investment. Title insurers will typically require a survey detailing the property’s boundary, any easement or restrictions affecting the property and most likely any improvements to the property.
An ALTA/NSPS Land Title survey is a comprehensive boundary survey detailing the property boundaries and various issues as it relates to title or ownership. These surveys have minimum standards along with the ability to customize it by selecting items from the optional Table A. Some of the information shown on an ALTA/NSPS Land Title Survey may include:
- Easements
- Zoning information
- Flood Zone information
- Various improvements to the property
Discovering title issues after the real estate transaction is complete can be very expensive. Shive-Hattery conducts ALTA/NSPS Land Title Surveys according to the 2016 Minimum Standard Detail Requirements for ALTA/NSPS Land Title Surveys and lender/owner requirements giving buyers and lenders confidence their investment is protected prior to planning, development or investing funds.
Stay in Touch for Monthly Shive-Hattery Industry Insights
More Land Surveying Projects
Creating the foundations that support community growth.
We're Learning, Growing + Sharing
Stay on top of the latest industry trends as we share how we are staying ahead of them.
Engineers Week: Innovation and Opportunity at Shive-Hattery
Unlocking Efficiency Inside Industrial and Manufacturing Facilities
Infrastructure
Nathan Hardisty Named to Business Record’s 2026 Forty Under 40
Infrastructure